TRANSLATE
SIGN UP LOGIN
Refine Search

Tbd Meadow Bend #11 Circle , Stephenville, TX 76401

$175,000
  • Tbd Meadow Bend #11 Circle , Stephenville, TX 76401 Main Photo

9 Total Photos [Click to View All]

Active
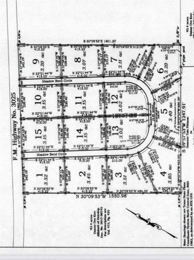
LOT SIZE 3.150 acres MLS#21052074
STATUSActive PROPERTY TYPELand - Residential SUBDIVISIONS3360 THE MEADOWS SCHOOLHuckabay ISD

Property Description

Discover the ideal setting for your dream home on this beautiful 3-acre lot, perfectly located just off FM 3025 near the Tarleton Rodeo Arena. Lot 12 is also available, giving you the option to expand with an additional 3 acres for a total of 6.This property sits in the highly acclaimed Huckabay School District, ranked A+, making it a fantastic choice for families. The sandy loam soil is ideal for horses, gardening, or landscaping, giving you both beauty and functionality.Building restrictions are in place to protect the neighborhood’s charm and value—without the burden of an HOA. With plenty of room to design your vision, this rare opportunity allows you to secure approximately 3 or 6 acres in one of the most desirable areas just north of Stephenville.

Tbd Meadow Bend #11 Circle | MLS# 21052074

This land located at Tbd Meadow Bend #11 Circle , Stephenville, TX 76401 is currently listed for sale with an asking price of $175,000. The property has approximately 3.15 Acres. Tbd Meadow Bend #11 Circle is located within the Huckabay ISD school district. Search Stephenville real estate on www.kellylandandranch.com today.

Property Features

Property Type: Land - Residential
Cooling: None
Heating: None
Lot Size: 3.15 Acres

Feature Descriptions

Days on Site: 208
Fencing: Partial
Lot: Acreage
Parcel#: R000077136
Utilities: None

Local Schools

Elementary School: Huckabay
School District: Huckabay ISD

Listed By / Shown By

Listed By

Agency Name: Majestic Realty Group
Agency Contact: 254-413-5445
Agent Name: Josey Key

Shown By

Agency Title: Kelly, Realtors
Agency Phone: (254) 741-1500
Agency Email: info@kellyrealtors.com
Agency Text: (254) 717-6447

IDX logo

Estimate Your Payment

Estimated Payment

$ 440.52 per month $389.47 Principal & Interest $0.00 Property Tax (data not provided by mls) $51.04 Homeowner's Insurance

Change Payment Information

%
years/fixed
yearly
yearly (est.)
(Payments are an estimate and may vary by lender)

Login to My Homefinder

Pixel